獣医師様はこちらVETERINARIAN
ネット予約RESERVE
ページトップへ

症例紹介 CASE

症例紹介 CASE

肩関節脱臼

犬の肩関節脱臼とは?

肩関節は、上腕骨頭と肩甲骨の関節窩で構成されていて、上腕骨頭が関節窩から外れてしまうことを肩関節脱臼といいます
トイプードル、チワワ、ポメラニアンに多く、先天的に関節が緩い症例は若齢で発症します。また外傷による脱臼はどの犬種にも起こります
症状は、前肢挙上、疼痛が認められます

症例紹介

犬種 トイプードル
年齢 6歳1ヶ月
体重 2.6kg
性別 避妊雌
来院のきっかけ

急に左前肢破行・挙上

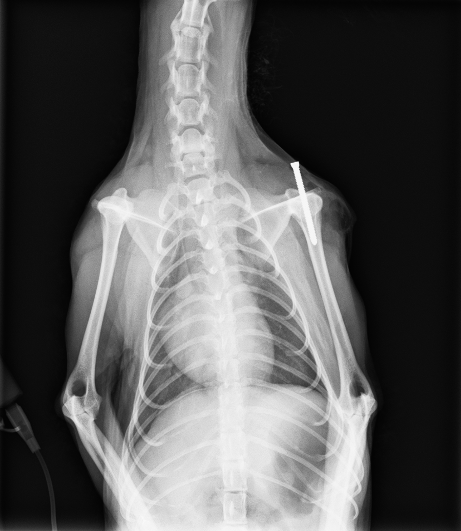
所見

レントゲン検査より、右肩関節脱臼

診断と治療

右肩関節脱臼と診断し、スクリューを上腕骨に挿入し、肩関節を安定化させる

before
after